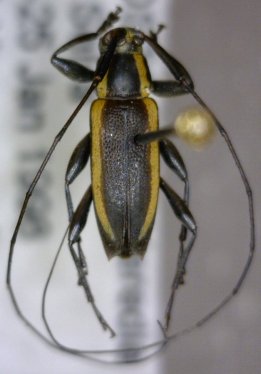
_Monne_Nearns.jpg)
Specimen Type: holotype Sex: m Institution: NMNH United States National Museum, Washington, DC, USA Photographer: Gino Nearns Collection Location: Cerro Jefe, Panama 42553
|
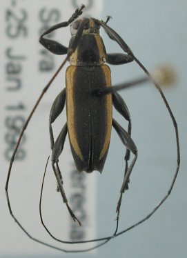
_Monne_NMNH_Cerro_Jefe_Panama.jpg)
Specimen Type: holotype Sex: m Institution: NMNH United States National Museum, Washington, DC, USA Photographer: Monne Collection Location: Cerro Jefe, Panama 30571
|

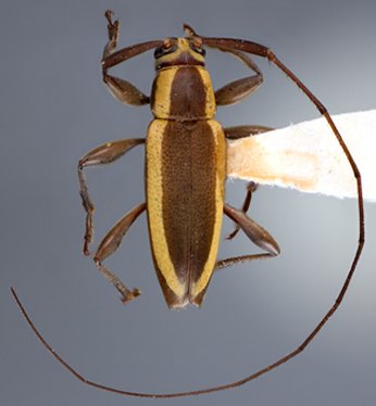
Institution: LGBC Larry G. Bezark Collection, Sacramento, California, USA Photographer: Larry G. Bezark Collection Location: La Selva, Heredia, Costa Rica 44869
|

Institution: LGBC Larry G. Bezark Collection, Sacramento, California, USA Photographer: Larry G. Bezark Collection Location: La Selva, Heredia, Costa Rica 44870
|

Institution: LGBC Larry G. Bezark Collection, Sacramento, California, USA Photographer: Larry G. Bezark Collection Location: La Selva, Heredia, Costa Rica 44871
|
|