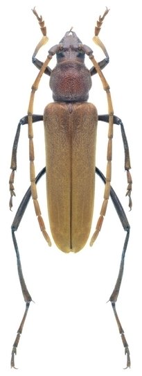
_Redtenbacher_NMHW_Iran_Schmid_Photo.jpg)
Specimen Type: holotype Sex: m Institution: NMW Naturhistorisches Museum, Wien, Austria Photographer: Herbert Schmid Collection Location: Shiraz, Farsistan Province, Iran 55214
|

Photographer: Aleksandr Slutsky Collection Location: 42 km NW Jiroft, Dalfard village, Kukhrud Mts, Kerman Province SE Iran 75389
|

Photographer: Navratil & Hoskovec Collection Location: vic Gahkom, Hormozgan Province S Iran 79815
|
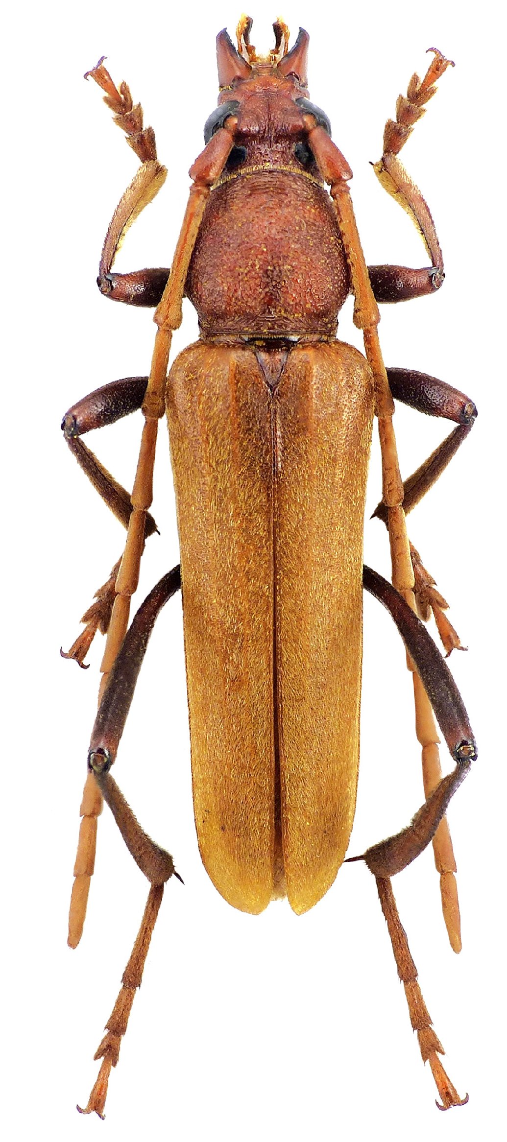
_Redten_Bent_Coll_Gebel_Narez_Kerman_Province_Iran.jpg)
Sex: m Institution: Bentanachs Collection Photographer: Joan Bentanachs Collection Location: Gebel Narez, Kerman Province, Iran 73788
|
|