_viride_(Thomson)_Meiying.jpg)
Photographer: Meiying Lin 41892
|

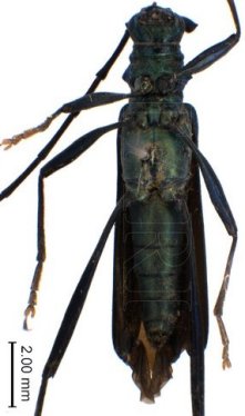
Institution: LGBC Larry G. Bezark Collection, Sacramento, California, USA Photographer: Larry G. Bezark Collection Location: Sahalin Island, Japan 34930
|

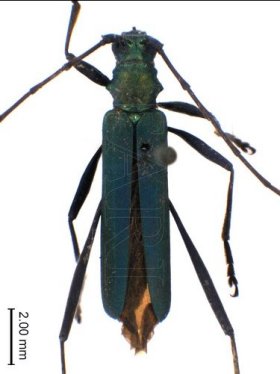
Institution: TARI Taiwan Agriculture Research Institute, Taichung Collection Location: Tokyo, Japan 39864
|

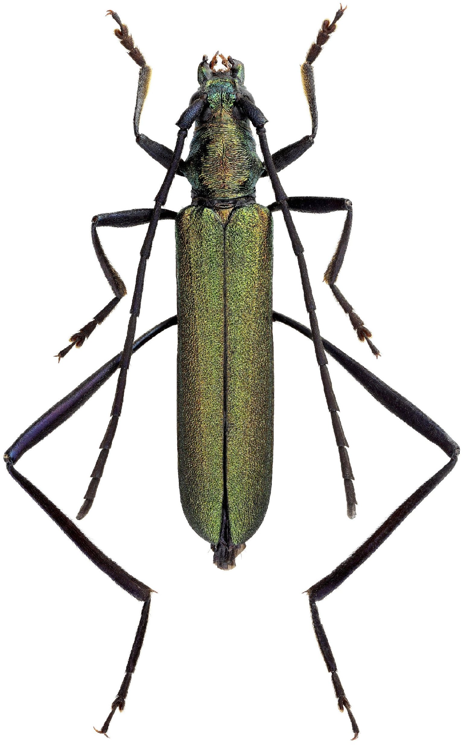
Institution: TARI Taiwan Agriculture Research Institute, Taichung Determiner: T.Mitono Collection Location: Asasaka, Tokyo, Japan 39865
|
_Thomson_Asasaka_Tokyo_Japan_TARI.jpg)
Institution: TARI Taiwan Agriculture Research Institute, Taichung Determiner: T.Mitono Collection Location: Asasaka, Tokyo, Japan 39866
|
_Thomson_Asasaka_Tokyo_Japan_TARI.jpg)
Institution: TARI Taiwan Agriculture Research Institute, Taichung Determiner: T.Mitono Collection Location: Asasaka, Tokyo, Japan 39867
|
_Thomson_Asasaka_Tokyo_Japan_TARI.jpg)
Institution: TARI Taiwan Agriculture Research Institute, Taichung Determiner: T.Mitono Collection Location: Asasaka, Tokyo, Japan 39868
|
_Thomson_Asasaka_Tokyo_Japan_TARI.jpg)
Institution: TARI Taiwan Agriculture Research Institute, Taichung Determiner: T.Mitono Collection Location: Asasaka, Tokyo, Japan 39869
|

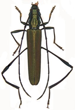
Photographer: Sergei Kakunin Collection Location: Novo-Aleksandrovsk, Yuzhno-Sakhalinsk, Russian Far East 79003
|
|