
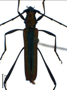
Institution: CAS California Academy of Sciences, San Francisco, CA, USA Photographer: Larry G. Bezark Collection Location: Taiwan 51656
|

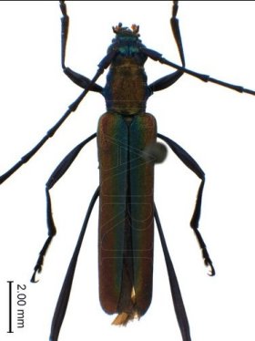
Institution: TARI Taiwan Agriculture Research Institute, Taichung Determiner: T.Mitono and JL Gressitt Collection Location: Zhongxinlun, Taoyuan, Taipei, Taiwan 39838
|
_Pic_Zhongxinlun_Taoyuan_Taipei_Taiwan_TARI.jpg)
Institution: TARI Taiwan Agriculture Research Institute, Taichung Determiner: T.Mitono and JL Gressitt Collection Location: Zhongxinlun, Taoyuan, Taipei, Taiwan 39839
|
_Pic_Zhongxinlun_Taoyuan_Taipei_Taiwan_TARI.jpg)
Institution: TARI Taiwan Agriculture Research Institute, Taichung Determiner: T.Mitono and JL Gressitt Collection Location: Zhongxinlun, Taoyuan, Taipei, Taiwan 39840
|
_Pic_Zhongxinlun_Taoyuan_Taipei_Taiwan_TARI.jpg)
Institution: TARI Taiwan Agriculture Research Institute, Taichung Determiner: T.Mitono and JL Gressitt Collection Location: Zhongxinlun, Taoyuan, Taipei, Taiwan 39841
|
_Pic_Zhongxinlun_Taoyuan_Taipei_Taiwan_TARI.jpg)
Institution: TARI Taiwan Agriculture Research Institute, Taichung Determiner: T.Mitono and JL Gressitt Collection Location: Zhongxinlun, Taoyuan, Taipei, Taiwan 39842
|

Institution: TARI Taiwan Agriculture Research Institute, Taichung Collection Location: Puli, Nantou, Taiwan 39843
|

Institution: TARI Taiwan Agriculture Research Institute, Taichung Collection Location: Tunlu, Taipei, Taiwan 39844
|

Sex: m Determiner: Longicorn Beetles of Hainan & Guangdong 34870
|
|