New Search Family, Subfamily and Tribe List

SubFamily Cerambycinae

Tribe Callichromatini
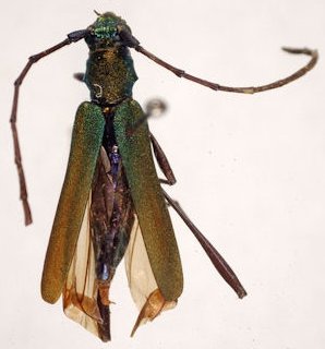
Chloridolum cupreoviride (Gressitt, 1942)

Leontium cupreoviride Gressitt
Specimen Type: holotype
Institution: AMNH American Museum of Natural History, New York, NY, USA
Collection Location: Yen-ping, Fujian Province, China
51651

130425