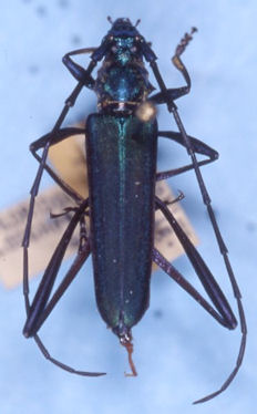
_Gressitt_CAS_3781_LGB.jpg)
Specimen Type: holotype Sex: m Institution: CAS California Academy of Sciences, San Francisco, CA, USA Photographer: Larry G. Bezark Collection Location: Gusuku, Amami-Oshima Island (Ryukyu Islands), Japan 34874
|
_CAS.jpg)
Specimen Type: allotype Sex: f Institution: CAS California Academy of Sciences, San Francisco, CA, USA Photographer: Larry G. Bezark Collection Location: Gusuku, Amami-Oshima Island (Ryukyu Islands), Japan 34875
|
_Gressitt_Vietnam_USNM.jpg)
Chloridolum loochooanum annamanum Gressitt Specimen Type: holotype Institution: NMNH United States National Museum, Washington, DC, USA Photographer: Steve Lingafelter Collection Location: Vietnam 34880
|

Chloridolum loochooanum taiwanum Gressitt Institution: BPBM Bernice P. Bishop Museum, Honolulu, Hawaii, USA Photographer: Jim Cope 34881
|

Institution: BPBM Bernice P. Bishop Museum, Honolulu, Hawaii, USA Photographer: Jim Cope 34876
|

Institution: LGBC Larry G. Bezark Collection, Sacramento, California, USA Photographer: Larry G. Bezark 34877
|

34878
|

34879
|
|