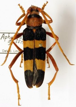
_Hope_now_Aphrodisium.jpg)
Callichroma griffithi Hope Specimen Type: holotype Institution: OXUM Hope Department of Entomology, Oxford University Museum of Natural History, England Determiner: Transactions of the Linnean Society of London Collection Location: Assam, India 45977
|
_Tam_Dao_Vietnam_SWL.jpg)
Institution: NMNH United States National Museum, Washington, DC, USA Photographer: Steve Lingafelter Collection Location: Tam Dao, Vinh Phuc Province, Vietnam 37614
|
 Vives Bentanachs IRSNB Tam Dao NM2.jpg)
Institution: IRSNB Royal Belgian Institute of Natural Sciences, Brussels, Belgium Photographer: Noel Mal Collection Location: Tam Dao, Vinh Phuc Province, Vietnam 77330
|
 (Hope) IRSNB Tam Dao NM2.jpg)
Institution: IRSNB Royal Belgian Institute of Natural Sciences, Brussels, Belgium Photographer: Noel Mal Collection Location: Tam Dao, Vinh Phuc Province, Vietnam 77331
|
 Vives Bentanachs IRSNB Tam Dao NM2.jpg)
Institution: IRSNB Royal Belgian Institute of Natural Sciences, Brussels, Belgium Photographer: Noel Mal Collection Location: Tam Dao, Vinh Phuc Province, Vietnam 77332
|
_11.jpg)
Determiner: Longicorn Beetles of Hainan & Guangdong 34433
|

Institution: IRSNB Royal Belgian Institute of Natural Sciences, Brussels, Belgium Photographer: Noel Mal Collection Location: Annam, Vietnam 39524
|
_Annam_Vietnam_ISRNB_NM.jpg)
Institution: IRSNB Royal Belgian Institute of Natural Sciences, Brussels, Belgium Photographer: Noel Mal Collection Location: Annam, Vietnam 39525
|
|