 White BMNH KM.jpg)
Callichroma sinicum White Specimen Type: holotype Sex: m Institution: BMNH British Museum Natural History, London, UK Photographer: Keita Matsumoto Collection Location: N China 73709
|
 White BMNH KM.jpg)
Callichroma sinicum White Specimen Type: holotype Sex: m Institution: BMNH British Museum Natural History, London, UK Photographer: Keita Matsumoto Collection Location: N China 76108
|
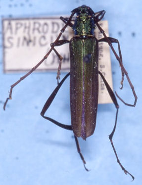
_Pic_MNHN_Yunnan_China_now_Aphro_sinicum_Skale_pic.jpg)
Chloridolum implicatum Pic Specimen Type: holotype Sex: m Institution: MNHN Museum of Natural History Paris, France Photographer: Andre Skale Collection Location: Yunnan, China 75210
|
_Pic_MNHN_Yunnan_China_now_sinicum_Udo_Schmidt_pic.jpg)
Chloridolum implicatum Pic Specimen Type: syntype Sex: f Institution: MNHN Museum of Natural History Paris, France Photographer: Udo Schmidt Collection Location: Yunnan, China 73716
|
_Plavilst_ZMUM_Pe_Yen_Sin_Yunnan_China_A_Gusakov_pic.jpg)
Chelidonium impressicolle Plavilstshikov Specimen Type: lectotype Sex: f Institution: ZMUM Zoological Museum, University of Moscow Photographer: A Gusakov Collection Location: Pe Yen Sin, Yunnan, China 73710
|
_Plavilst_ZMUM_Pe_Yen_Sin_Yunnan_China_A_Gusakov_pic.jpg)
Chelidonium impressicolle Plavilstshikov Specimen Type: lectotype Sex: f Institution: ZMUM Zoological Museum, University of Moscow Photographer: A Gusakov Collection Location: Pe Yen Sin, Yunnan, China 73711
|
_Hua_Phan_NE_Laos_Xavier_photo.jpg)
Photographer: Xavier Gouverneur, Cerambycoidea Forum Collection Location: Hua Phan, NE Laos 49037
|
_Hua_Phan_NE_Laos_Xavier_photo.jpg)
Photographer: Xavier Gouverneur, Cerambycoidea Forum Collection Location: Hua Phan, NE Laos 49038
|
_Vietnam_SWL.jpg)
Photographer: Steve Lingafelter Collection Location: Tam Dao, Vinh Phuc Province, Vietnam 57408
|

Institution: CAS California Academy of Sciences, San Francisco, CA, USA Photographer: Larry G. Bezark 32188
|
_Burma_Cope.jpg)
Institution: BPBM Bernice P. Bishop Museum, Honolulu, Hawaii, USA Photographer: Jim Cope Collection Location: S China 32189
|