_Hope_now_Aphrodisium.jpg)
Callichroma cantori Hope Specimen Type: holotype Institution: OXUM Hope Department of Entomology, Oxford University Museum of Natural History, England Determiner: Transactions of the Linnean Society of London Collection Location: Assam, India 45976
|
 Hope OUMNH Assam, India now Aphrodis Amoret Spooner pic.jpg)
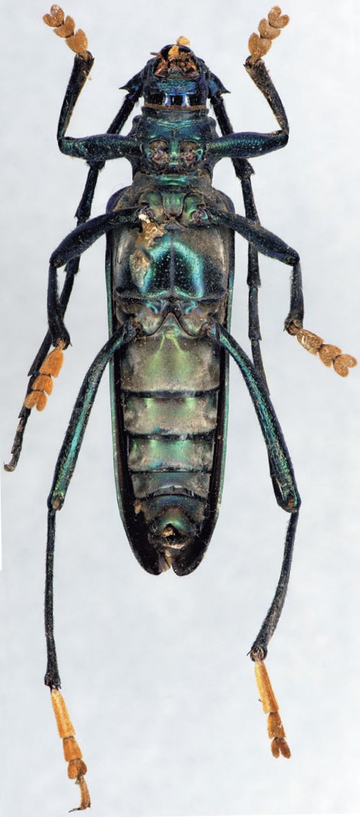
Callichroma cantori Hope Specimen Type: lectotype Sex: m Institution: OXUM Hope Department of Entomology, Oxford University Museum of Natural History, England Photographer: Amoret Spooner Collection Location: Assam, India 81789
|
 Hope OUMNH Assam, India now Aphrodis Amoret Spooner pic.jpg)
Callichroma cantori Hope Specimen Type: lectotype Sex: m Institution: OXUM Hope Department of Entomology, Oxford University Museum of Natural History, England Photographer: Amoret Spooner Collection Location: Assam, India 81790
|
 Hope OUMNH Assam, India now Aphrodis Amoret Spooner pic.jpg)
Callichroma cantori Hope Specimen Type: paralectotype Sex: f Institution: OXUM Hope Department of Entomology, Oxford University Museum of Natural History, England Photographer: Amoret Spooner Collection Location: Assam, India 81791
|
_Myanmar.jpg)
32158
|
_SE_Asia.jpg)
Collection Location: SE Asia 32159
|

Photographer: Andre Skale, Cerambycoidea Forum Collection Location: Taiping, Malaysia 45815
|
|