New Search Family, Subfamily and Tribe List

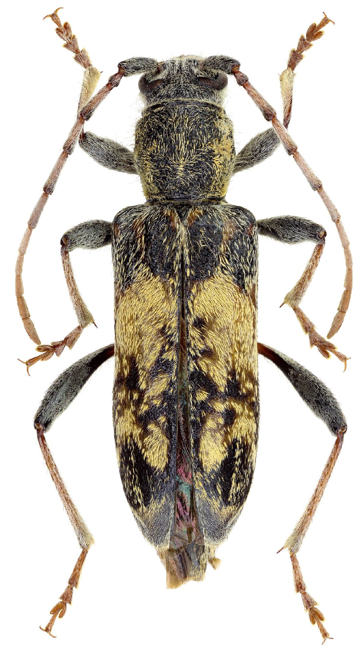
SubFamily Cerambycinae

Tribe Anaglyptini
Paraclytus reitteri (Ganglbauer, 1882)

Photographer: Michal Hoskovec
Collection Location: Rudbar, Northern Iran
59194


Sex: f
Photographer: Sergei Kakunin
Collection Location: road Tegran to Chalus, Mazandaran Province, Iran
79823

130425