New Search Family, Subfamily and Tribe List

SubFamily Cerambycinae

Tribe Anaglyptini
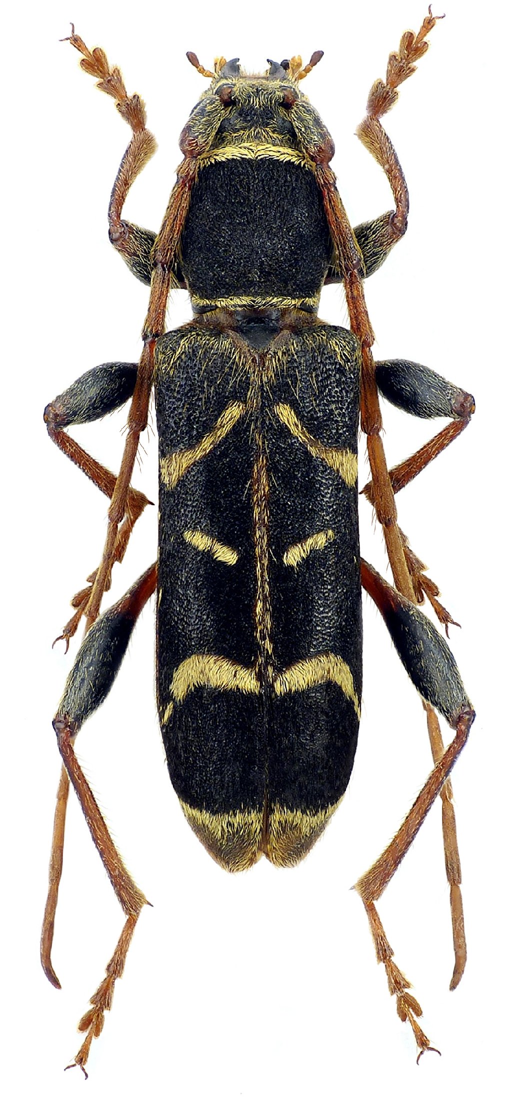
Paraclytus raddei (Ganglbauer, 1882)

Photographer: Michal Hoskovec
55451


Photographer: Navratil & Hoskovec
Collection Location: Rostamabad, Gilan Province, Northern Iran
79822

130425