New Search Family, Subfamily and Tribe List

SubFamily Cerambycinae

Tribe Clytini
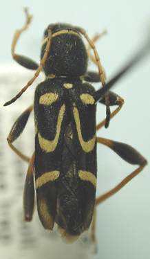
Clytus ruricola (Olivier, 1800)

Clytanthus catulus Casey
Specimen Type: holotype
Sex: m
Institution: NMNH United States National Museum, Washington, DC, USA
Collection Location: Bayfield, Wisconsin
25507


Photographer: Larry G. Bezark
684

130425