New Search Family, Subfamily and Tribe List

SubFamily Cerambycinae

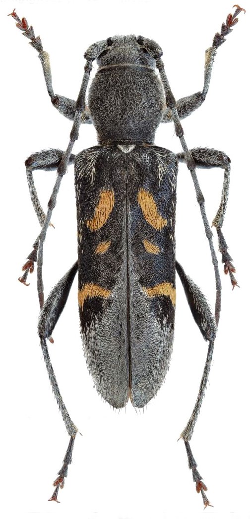
Tribe Anaglyptini
Anaglyptus luteofasciatus Pic 1905

Sex: mf
Photographer: Michal Hoskovec
Collection Location: Vitina, Menalo Mountains, Peloponnesia, Greece
31582


Sex: m
Photographer: Boza & Sedlacek
Collection Location: Greece
75662

130425