
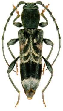
Anaglyptus natae Lobanov Specimen Type: holotype Institution: ZIN Russian Academy of Sciences, Zoological Institute, St. Petersburg, Russia Photographer: Miroshnikov Collection Location: Lerik, Talysh, Azerbaijan 31572
|

Photographer: Michal Hoskovec 31567
|

Photographer: Michal Hoskovec 31568
|

Photographer: Miroshnikov Collection Location: Elburs, Iran 31569
|

Photographer: Miroshnikov Collection Location: Talysh, Azerbaijan 31570
|

Photographer: Miroshnikov Collection Location: Alexeevka, Talysh, Azerbaijan 31571
|
|