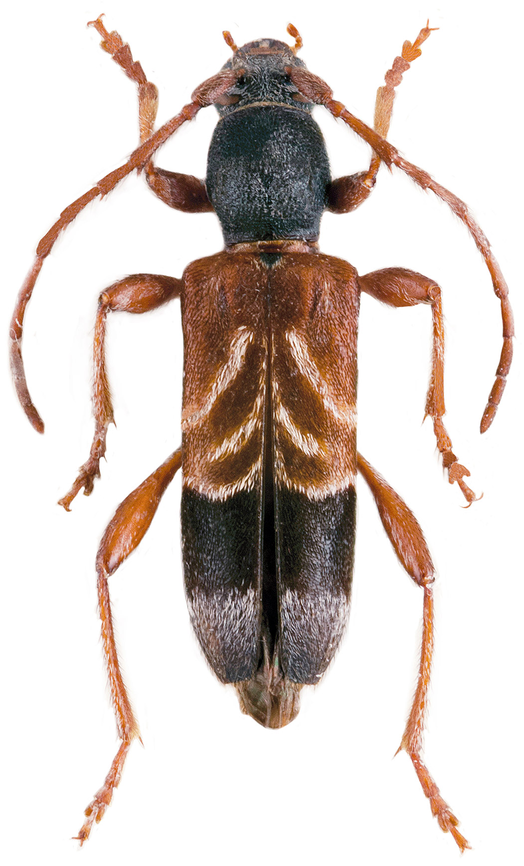
_Armenia_Idzhevan_Miroshnikov.jpg)
Photographer: Miroshnikov Collection Location: Idzhevan, Armenia 31547
|
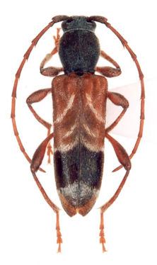
_Armenia_Idzhevan_Miroshnikov.jpg)
Photographer: Miroshnikov Collection Location: Idzhevan, Armenia 31548
|
_Armenia_Noemberyan_Miroshnikov.jpg)
Photographer: Miroshnikov Collection Location: Noemberyan, Armenia 31549
|
_Russia_Lazarevskoye_Miroshnikov.jpg)
Photographer: Miroshnikov Collection Location: Noemberyan, Armenia 31550
|

Photographer: Jelinek & Hoskovec Collection Location: vic Sotchi, Caucaus Mountains, Georgia 31554
|
|