 Bates Kamenystyi creek, Listvennichnaya river, Primorsky krai, Russian FE Makarov.jpg)
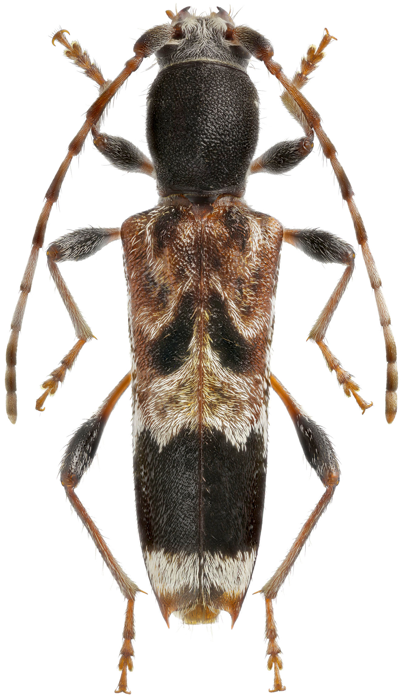
Sex: f Photographer: Kirill V. Makarov Collection Location: Kamenystyi creek, Listvennichnaya river, Primorsky krai, Russian FE 78842
|

Institution: LGBC Larry G. Bezark Collection, Sacramento, California, USA Photographer: Larry G. Bezark Collection Location: Gornotayozhnoye, Primorsky Kral, Russia 31542
|