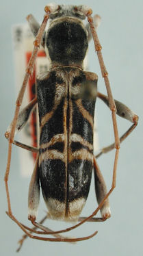
_Gressitt_CAS_7463_LGB.jpg)
Aglaophis albiventris Gressitt Specimen Type: holotype Sex: m Institution: CAS California Academy of Sciences, San Francisco, CA, USA Photographer: Larry G. Bezark Collection Location: Hong Shan, Jiangxi, China 31540
|
_Gressitt_CAS_Hong_Shan_Jiangxi_China_Russian_Ent_J.jpg)
Specimen Type: holotype Institution: CAS California Academy of Sciences, San Francisco, CA, USA Collection Location: Hong Shan, Jiangxi Province, China 59188
|