
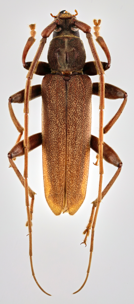
Photographer: Sergio Devesa, Cerambycoidea Forum Collection Location: Taiwan 95819
|
 Schwarzer Taiwan SD.jpg)
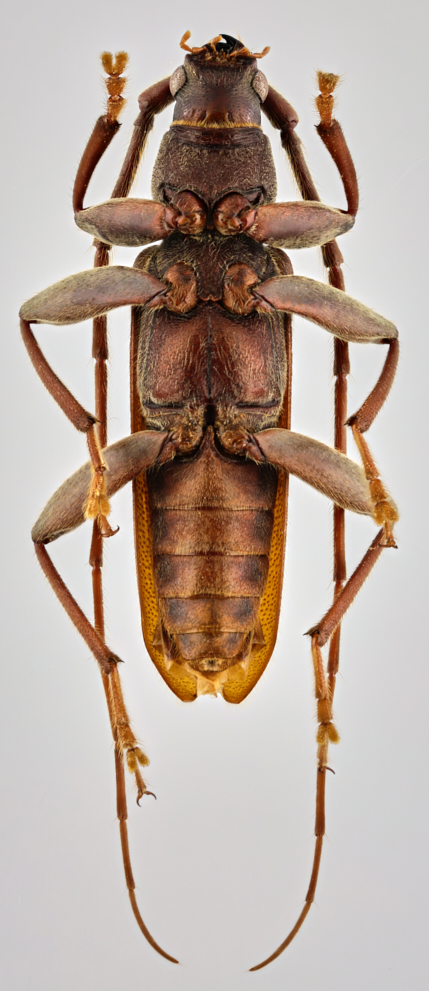
Photographer: Sergio Devesa, Cerambycoidea Forum Collection Location: Taiwan 95820
|

Photographer: Niisato Collection Location: Yakushima Island, Japan 59148
|

54505
|
_Schwarzer_Japan.jpg)
Sex: m Collection Location: Japan 54506
|
|