New Search Family, Subfamily and Tribe List

SubFamily Cerambycinae

Tribe Achrysonini
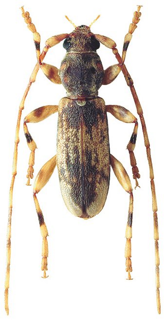
Crotchiella brachyptera Israelson 1985

Photographer: Petr Jelinek
Collection Location: Ponta Delgada, Sao Miguel, Azores Islands
77638


Sex: mf
Photographer: David Navratil
Collection Location: vic Povoacao, São Miguel, Azores Islands, Portugal
79087

130425