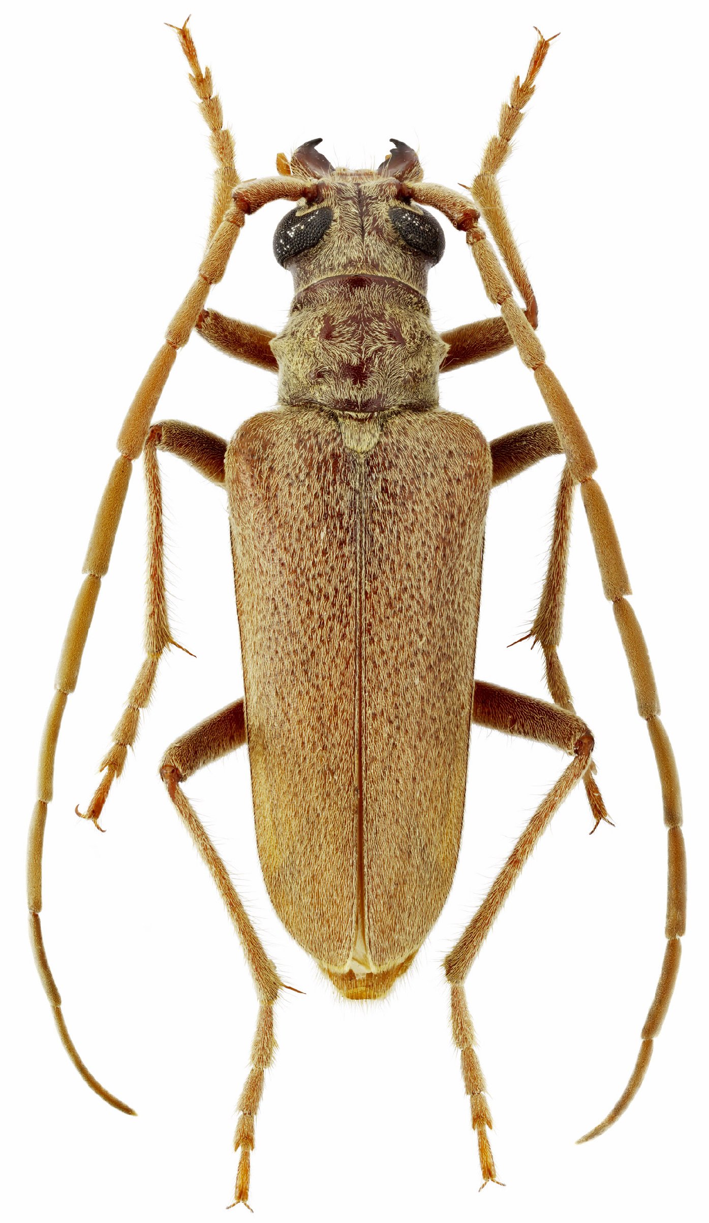
_Semenov_ZIN_Turkmenistan_Tedzhen_Dan.jpg)
Specimen Type: lectotype Sex: m Institution: ZIN Russian Academy of Sciences, Zoological Institute, St. Petersburg, Russia Photographer: Mikhail Danilevsky Collection Location: Tedzhen, Turkmenistan 32094
|
_Semenov_Turkmenistan_Geok-Tepe_Dan.jpg)
Sex: m Photographer: Mikhail Danilevsky Collection Location: Geok-Tepe, Turkmenistan 32095
|
 Semenov Russia Slama.jpg)
Sex: m Photographer: Milan Slama Collection Location: Russia 75673
|
 Semenov Russia Slama.jpg)
Sex: m Photographer: Milan Slama Collection Location: Russia 75674
|
 Kamyschchay river valley, Derbent Dist, Dagestan, N Caucasian Fed Dist, Russia Semenov Max.jpg)
Sex: m Photographer: Maxim E. Smirnov Collection Location: Kamyschchay river valley, Derbent Dist, Dagestan, Russia (Fed Dist 32089
|
_Semenov_Kazakhstan_Mangyschlack_Dan.jpg)
Sex: f Photographer: Mikhail Danilevsky Collection Location: Mangyschlack, Kazakhstan 32090
|

Photographer: O. E. Berlov Collection Location: Russia, Karadonly, Arks River Bak 32091
|
_Semenov_Russia_Karadonly_Arks_River_Bak_Berlov.jpg)
Photographer: O. E. Berlov Collection Location: Russia, Karadonly, Arks River Bak 32092
|
_Semenov_Russia_Karadonly_Arks_River_Bak_Berlov.jpg)
Photographer: O. E. Berlov Collection Location: Russia, Karadonly, Arks River Bak 32093
|

Photographer: Michal Hoskovec 32096
|

Photographer: Nathan P. Lord 41852
|