New Search Family, Subfamily and Tribe List

SubFamily Apatophyseinae

Tribe
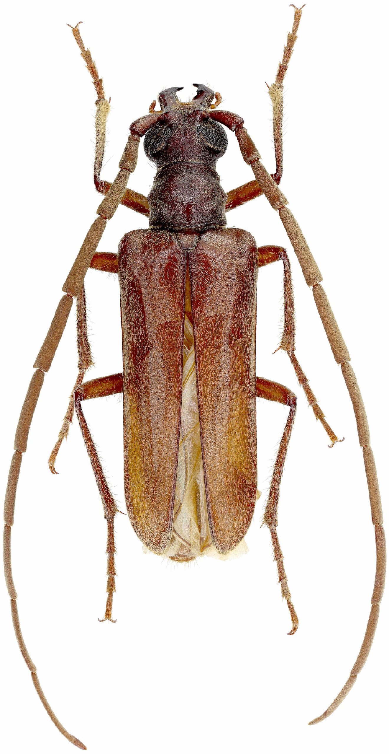
Apatophysis danczenkoi Danilevsky 2006

Photographer: Mikhail Danilevsky
Collection Location: Kerman, Iran
32099


Sex: m
Photographer: Sergei O. Kakunin
Collection Location: Sanig village, Shir Kuh Mtn, Taft County, Yazd Province, Iran
78896

130425