_Ohbayashi_USNM.jpg)
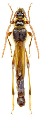
Necydalis marginalis Ohbayashi Specimen Type: holotype Sex: m Institution: NMNH United States National Museum, Washington, DC, USA Photographer: Steve Lingafelter Collection Location: Hanazawa, Yonezawa, Honshu, Japan 54120
|

Institution: CAS California Academy of Sciences, San Francisco, CA, USA Photographer: Larry G. Bezark 54107
|

Institution: EMEC Essig Museum of Entomology, Berkeley, CA, USA Photographer: Larry G. Bezark Determiner: Shimomura 54108
|

Photographer: Denis Kasatkin 54109
|

Photographer: Wolfgang Heinkel 54110
|
|