New Search Family, Subfamily and Tribe List

SubFamily Lepturinae

Tribe Necydalini
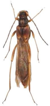
Necydalis niimurai Hayashi 1949

Institution: LGBC Larry G. Bezark Collection, Sacramento, California, USA
Photographer: Larry G. Bezark
54130


Sex: f
54106

130425