New Search Family, Subfamily and Tribe List

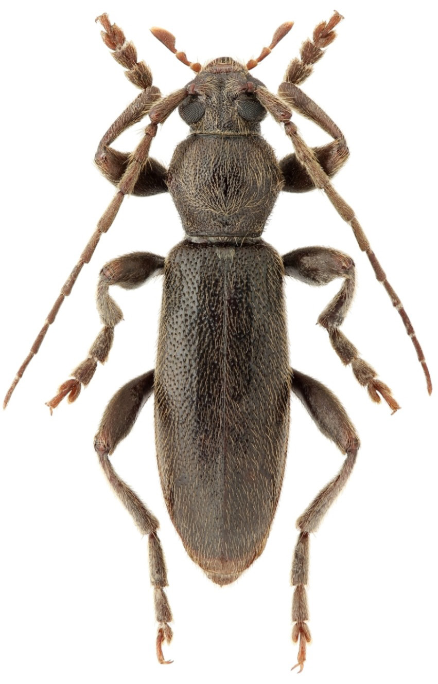
SubFamily Spondylidinae

Tribe Saphanini
Drymochares cylindraceus Fairmaire 1949

Photographer: Lech Kruszelnicki
Collection Location: Spain
79136


Sex: mf
Photographer: Eduard Vives
38435

130425