New Search Family, Subfamily and Tribe List

SubFamily Spondylidinae

Tribe Asemini
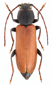
Asemum tenuicorne Kraatz 1879

Photographer: Boza & Sedlacek
Collection Location: Neohori, Taygetos Mtns, Southern Greece
75683


Photographer: Michal Hoskovec
Collection Location: 30 km W Sparti, Lakoonia nomos, SW Peloponnesia, Greece
32470

130425