 Perez-Flores CNIN Piedra Canteada Camp, Nanacamilpa, Tlaxcala, Mexico.jpg)
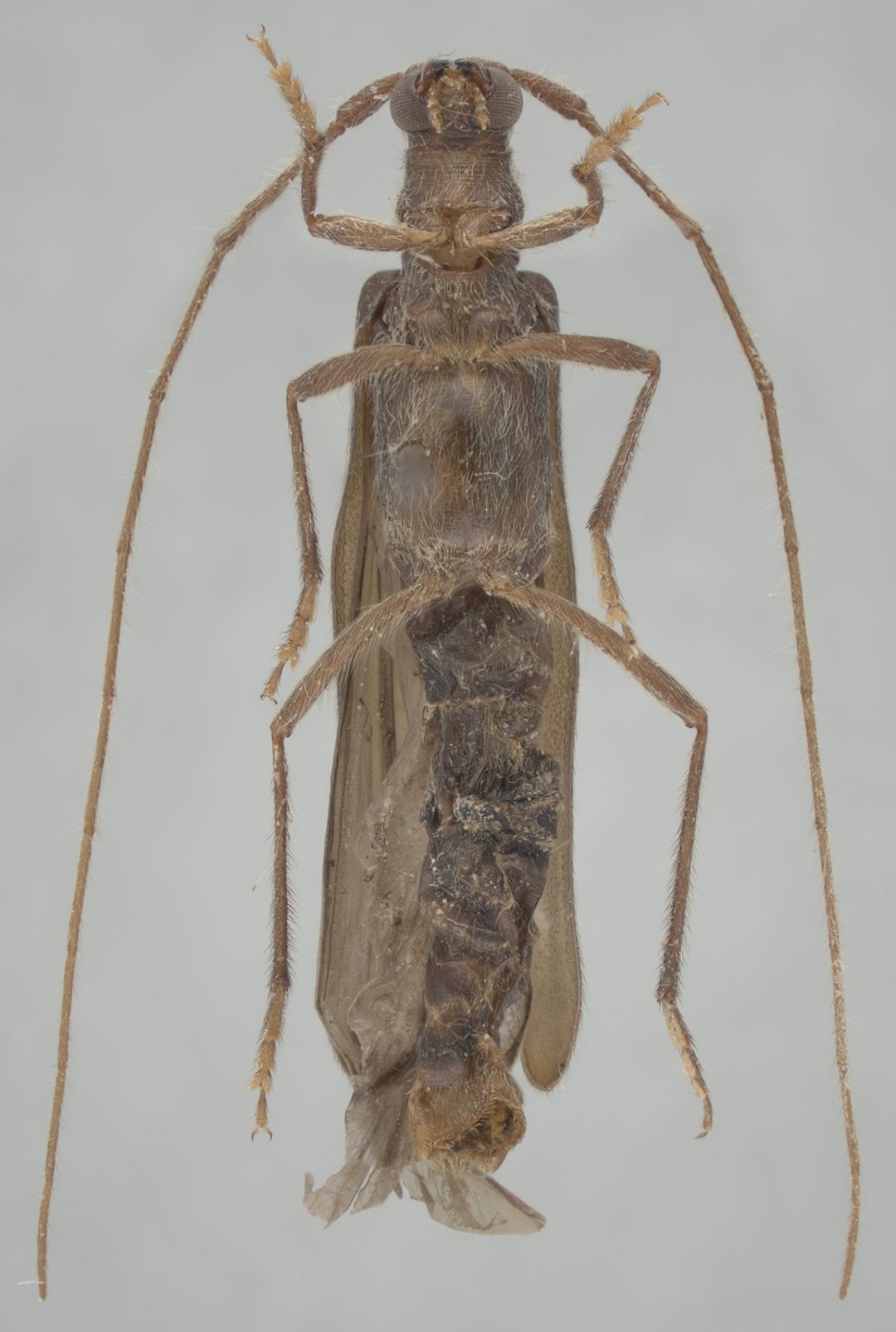
Specimen Type: holotype Sex: f Institution: CNIN Colección Nacional de Insectos, Instituto de Biología (UNAM), Mexico City, Mexico Photographer: Oscar Perez-Flores Collection Location: Piedra Canteada Camp, Nanacamilpa, Tlaxcala, Mexico 78947
|
 Perez-Flores CNIN Piedra Canteada Camp, Nanacamilpa, Tlaxcala, Mexico.jpg)
Specimen Type: holotype Sex: f Institution: CNIN Colección Nacional de Insectos, Instituto de Biología (UNAM), Mexico City, Mexico Photographer: Oscar Perez-Flores Collection Location: Piedra Canteada Camp, Nanacamilpa, Tlaxcala, Mexico 78948
|
-lat Perez-Flores CNIN Piedra Canteada Camp, Nanacamilpa, Tlaxcala, Mexico.jpg)
Specimen Type: holotype Sex: f Institution: CNIN Colección Nacional de Insectos, Instituto de Biología (UNAM), Mexico City, Mexico Photographer: Oscar Perez-Flores Collection Location: Piedra Canteada Camp, Nanacamilpa, Tlaxcala, Mexico 78949
|
 Perez-Flores CNIN Piedra Canteada Camp, Nanacamilpa, Tlaxcala, Mexico.jpg)
Specimen Type: holotype Sex: f Institution: CNIN Colección Nacional de Insectos, Instituto de Biología (UNAM), Mexico City, Mexico Photographer: Oscar Perez-Flores Collection Location: Piedra Canteada Camp, Nanacamilpa, Tlaxcala, Mexico 78950
|
|