New Search Family, Subfamily and Tribe List

SubFamily Spondylidinae

Tribe Anisarthrini
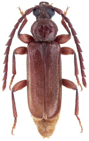
Alocerus moesiacus moesiacus (Frivaldszky, 1837)

Photographer: Boza & Sedlacek
Collection Location: Cadiz Province, Spain
75660


Photographer: Nathan P. Lord
41837


Photographer: Michal Hoskovec
31638


Photographer: Eduard Vives
Collection Location: Spain
31639

130425