New Search Family, Subfamily and Tribe List

SubFamily Lepturinae

Tribe Xylosteini
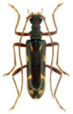
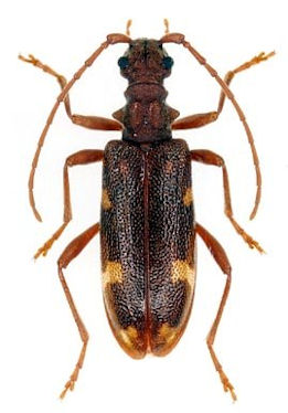
Xylosteus caucasicola Plavilstshikov 1936

Sex: m
Determiner: Entomologica Kubanica
Collection Location: N Caucasus
66641


Sex: f
Determiner: Entomologica Kubanica
Collection Location: N Caucasus
66642


Sex: f
Determiner: Entomologica Kubanica
Collection Location: N Caucasus
66643

130425