New Search Family, Subfamily and Tribe List

SubFamily Dorcasominae

Tribe Dorcasomini
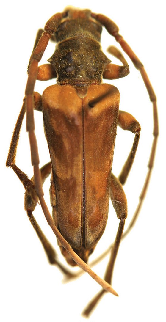
Trypogeus aureopubens (Pic, 1903)

Toxotus aureopubens Pic
Specimen Type: holotype
Sex: m
Institution: MNHN Museum of Natural History Paris, France
Collection Location: Yunnan, China
66390


Photographer: Meiying Lin
43126

130425