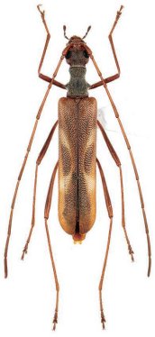
_Bi_Ohbayashi_SNUC_Wuzishan_Hainan_China.jpg)
Specimen Type: holotype Sex: f Institution: SNUC Insect Collection of Shanghai Normal University, Shanghai, China Determiner: Elytra, Tokyo Collection Location: Wuzishan, Hainan Island, China 59153
|
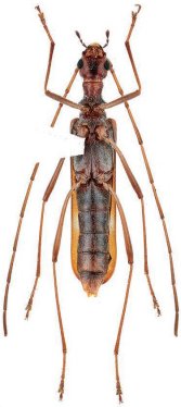
_Bi_Ohbayashi_SNUC_Wuzishan_Hainan_China.jpg)
Specimen Type: holotype Sex: f Institution: SNUC Insect Collection of Shanghai Normal University, Shanghai, China Determiner: Elytra, Tokyo Collection Location: Wuzishan, Hainan Island, China 59154
|