New Search Family, Subfamily and Tribe List

SubFamily Lepturinae

Tribe Xylosteini
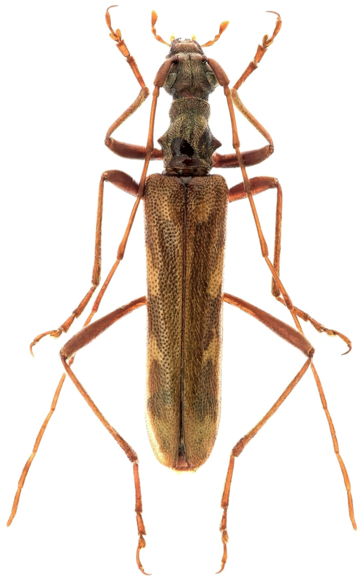
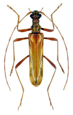
Leptorhabdium caucasicum (Kraatz, 1879)

Photographer: Lech Kruszelnicki
Collection Location: vic Norio, Kvem Kartli region, Georgia
79697


Sex: m
Photographer: Miroshnikov
Collection Location: Northern Caucasus, Russia
51685


Sex: f
Photographer: Jacek Kurzawa
Collection Location: Northern Caucasus, Russia
51686

130425