New Search Family, Subfamily and Tribe List

SubFamily Lepturinae

Tribe Stenocorini
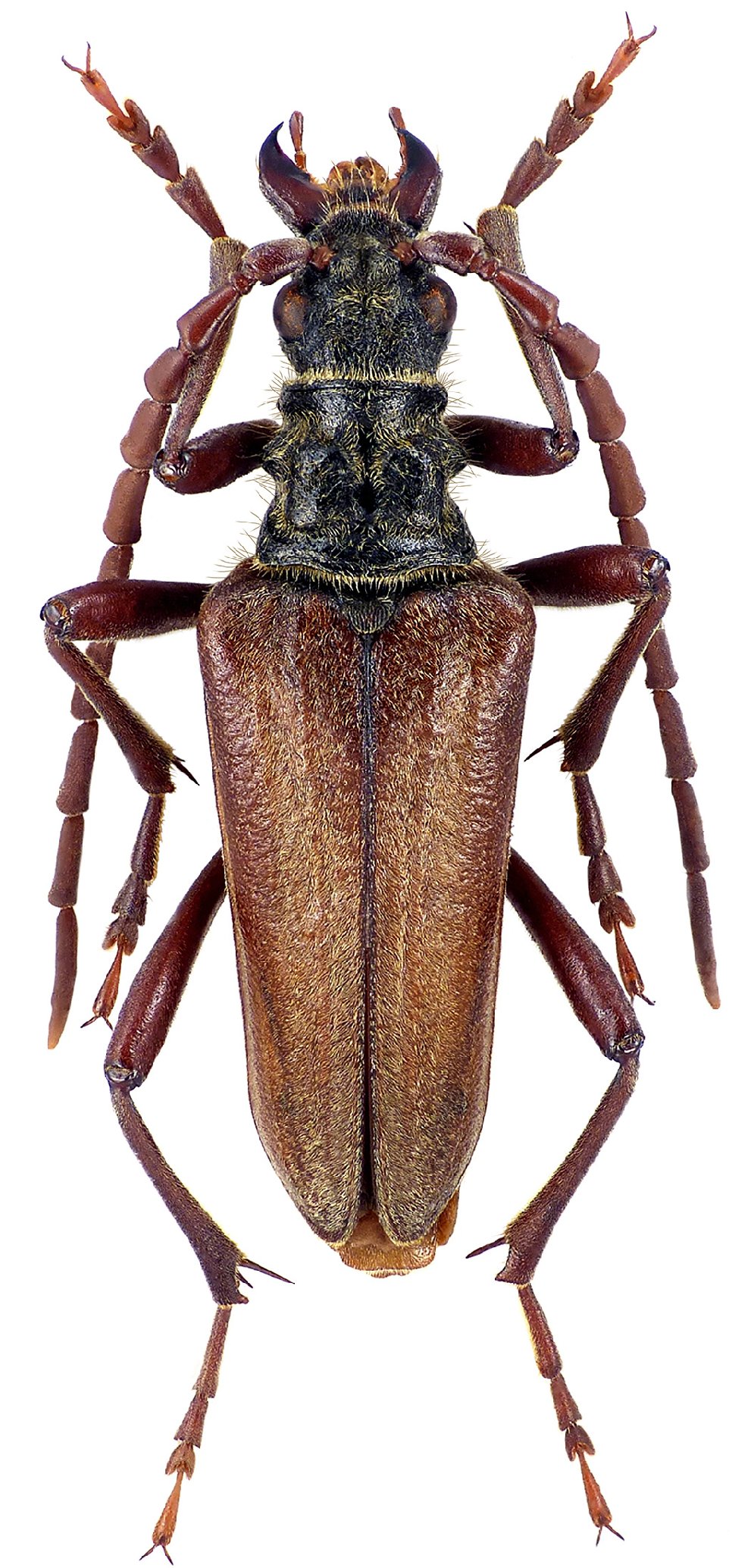
Toxotochorus validicornis validicornis (Pic, 1906)

Sex: m
Photographer: Navratil & Hoskovec
Collection Location: vic Sary-Chelek Lake Nart Res, Jalal-Abad Province, W Kyrgyzstan
59349


Sex: f
Photographer: Mikhail Danilevsky
59350

130425