New Search Family, Subfamily and Tribe List

SubFamily Lepturinae

Tribe Stenocorini
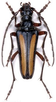
Toxotochorus validicornis univittatus Reitter 1914

Photographer: Michal Hoskovec
Collection Location: Chiva, Uzbekistan
65075


Sex: mf
Photographer: Mikhail Danilevsky
59348

130425