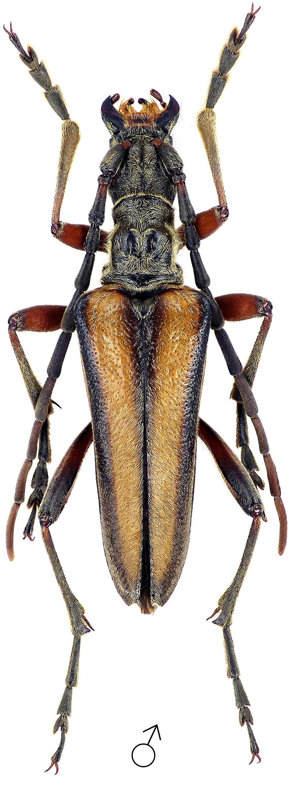
 Martuni, Gegharkunik Province, Armenia Nav Hosco.jpg)
Sex: m Photographer: Navratil & Hoskovec Collection Location: Martuni, Gegharkunik Province, Armenia 80025
|
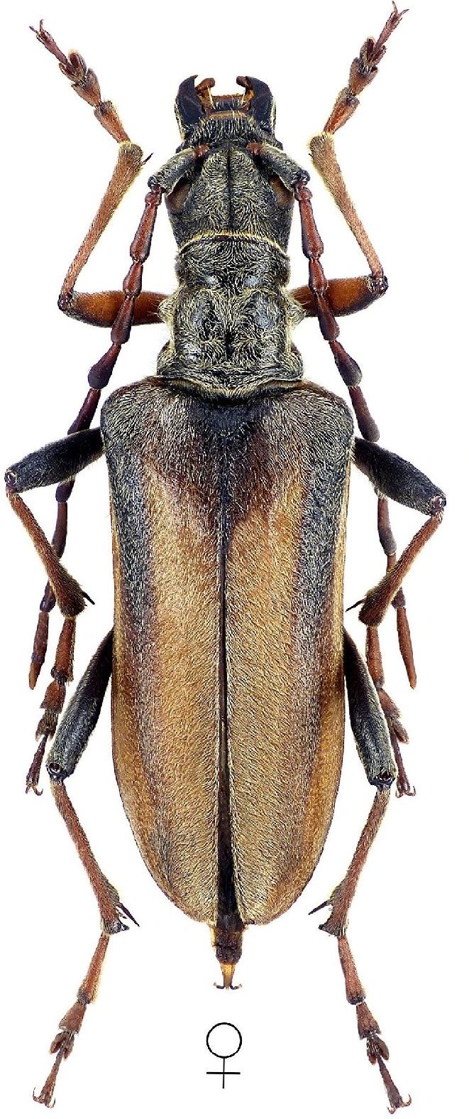
 Tvalivi, Mtskheta-Mtianeti region,Georgia NH.jpg)
Sex: f Photographer: Navratil & Hoskovec Collection Location: Tvalivi, Mtskheta-Mtianeti region, Georgia 80026
|
 SW slope of Gegham mountain ridge, Ararat province Armenia NH.jpg)
Sex: f Photographer: Navratil & Hoskovec Collection Location: SW slope of Gegham mountain ridge, Ararat province Armenia 80027
|

Photographer: Larry G. Bezark 61204
|
_Kraatz_Russia_Krasnodar_Kurzawa.jpg)
Sex: m Photographer: Jacek Kurzawa Collection Location: Krasnodar, Russia 61205
|
|