_Chen_Chiang_SAUC_Changbei_Shan_Jilin_China_Li_Chen_pic.jpg)
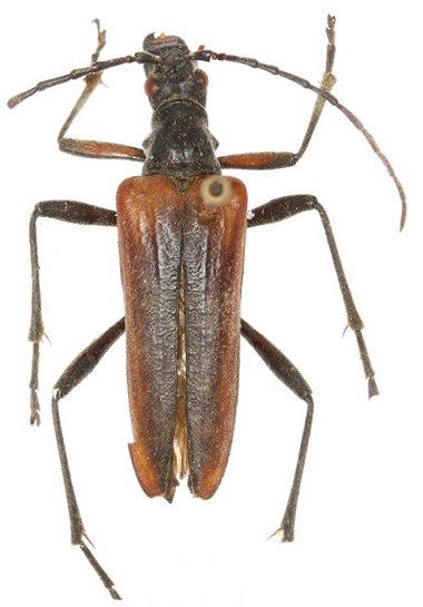
Specimen Type: holotype Sex: f Institution: SAUC Insect Collection of the Southwest Agricultural University, Chongqing, China Photographer: Li Chen Collection Location: Changbei Shan, Jilin Province, China 70729
|
_Chen_Chiang_SAUC_Changbei_Shan_Jilin_China_Li_Chen_pic.jpg)
Specimen Type: holotype Sex: f Institution: SAUC Insect Collection of the Southwest Agricultural University, Chongqing, China Photographer: Li Chen Collection Location: Changbei Shan, Jilin Province, China 70730
|