New Search Family, Subfamily and Tribe List

SubFamily Lepturinae

Tribe Rhagiini
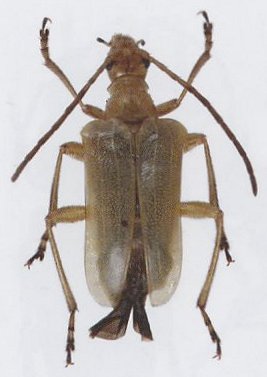
Rhondia placida Heller 1923

Sex: f
Photographer: Meiying Lin
Collection Location: Qinling Mountains, China
73444

130425