_Wang_Chiang_SAUC_Shenlongjia_Hubei_Chjina_now_maculith_Li_Chen_pic.jpg)
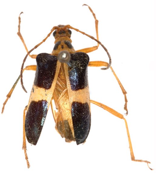
Rhondia hubiensis Wang & Chiang Specimen Type: holotype Sex: f Institution: SAUC Insect Collection of the Southwest Agricultural University, Chongqing, China Photographer: Li Chen Collection Location: Shenlongjia, Hubei Province, China 70724
|
_Wang_Chiang_SAUC_Shenlongjia_Hubei_Chjina_now_maculith_Li_Chen_pic.jpg)
Rhondia hubiensis Wang & Chiang Specimen Type: holotype Sex: f Institution: SAUC Insect Collection of the Southwest Agricultural University, Chongqing, China Photographer: Li Chen Collection Location: Shenlongjia, Hubei Province, China 70725
|