New Search Family, Subfamily and Tribe List

SubFamily Lepturinae

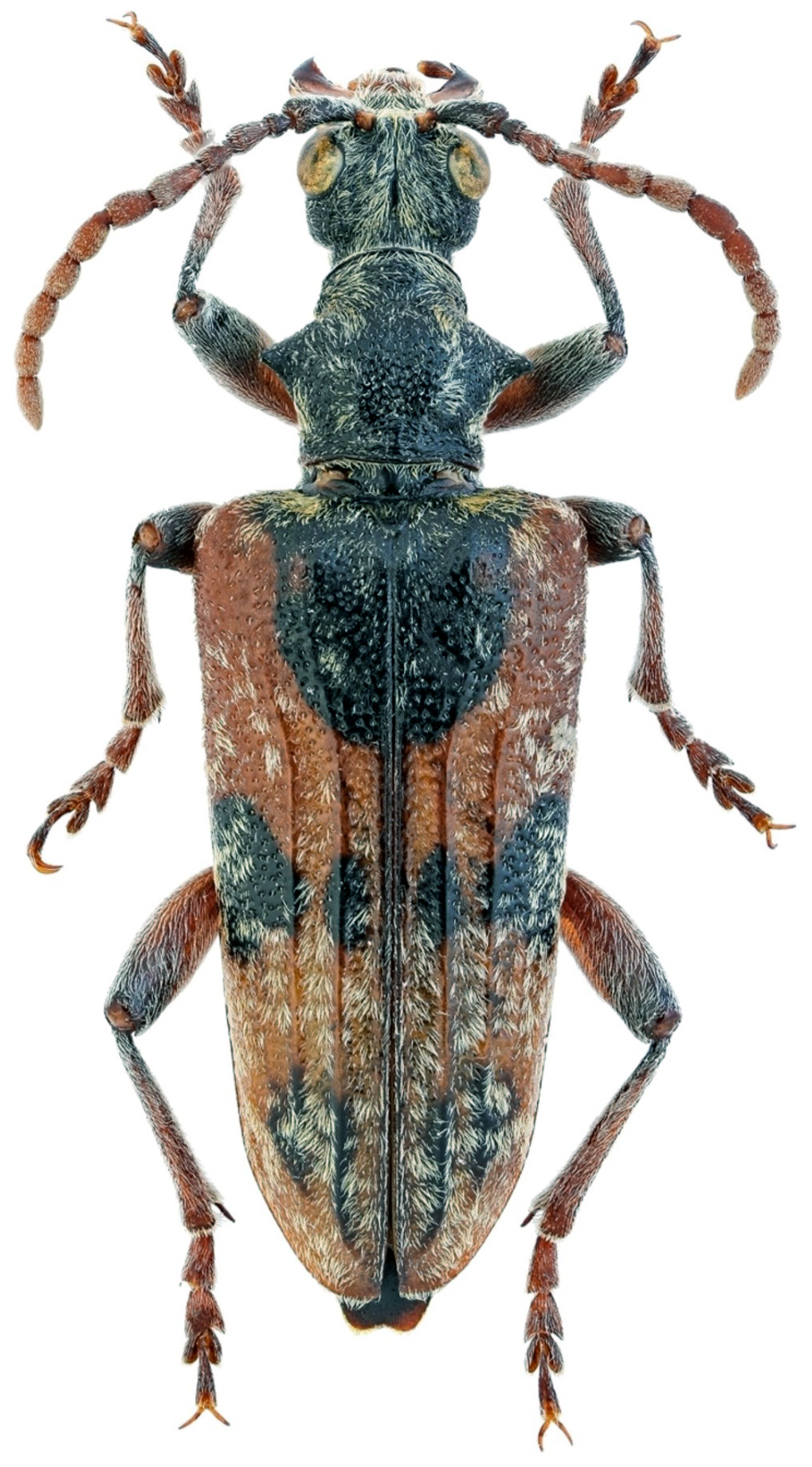
Tribe Rhagiini
Rhagium syriacum phrygium Daniel 1906

Photographer: Lech Kruszelnicki
Collection Location: Turkey
79966

130425