_Schmid.jpg)
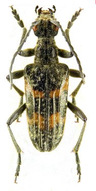
Specimen Type: holotype Sex: m Institution: Schmid Collection Determiner: Koleopterologische Rundschau Collection Location: 20 km S Elmali, Antalya, Turkey 59873
|

Determiner: Koleopterologische Rundschau Collection Location: 20 km S Elmali, Antalya, Turkey 59874
|