_Tippmann_Japan_USNM.jpg)
Semanotus japonicus ab fasciatus Tippmann Specimen Type: holotype Institution: NMNH United States National Museum, Washington, DC, USA Photographer: Steve Lingafelter Collection Location: Japan 60799
|
_Tippmann_Japan_USNM.jpg)
Semanotus japonicus ab posticeinterruptus Tippmann Specimen Type: holotype Institution: NMNH United States National Museum, Washington, DC, USA Photographer: Steve Lingafelter Collection Location: Japan 60800
|
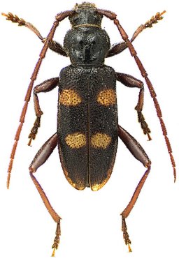
_Tippmann_Japan_USNM.jpg)
Semanotus japonicus ab trimaculatus Tippmann Specimen Type: holotype Institution: NMNH United States National Museum, Washington, DC, USA Photographer: Steve Lingafelter Collection Location: Japan 60801
|
_Tippmann_Japan_USNM.jpg)
Semanotus japonicus ab immaculatus Tippmann Specimen Type: holotype Institution: NMNH United States National Museum, Washington, DC, USA Photographer: Steve Lingafelter Collection Location: Japan 60798
|

Sex: f Photographer: Hammond Determiner: Zootaxa Collection Location: Japan 39597
|

Sex: m Photographer: Hammond Determiner: Zootaxa Collection Location: Tokyo, Japan 39598
|
|