New Search Family, Subfamily and Tribe List

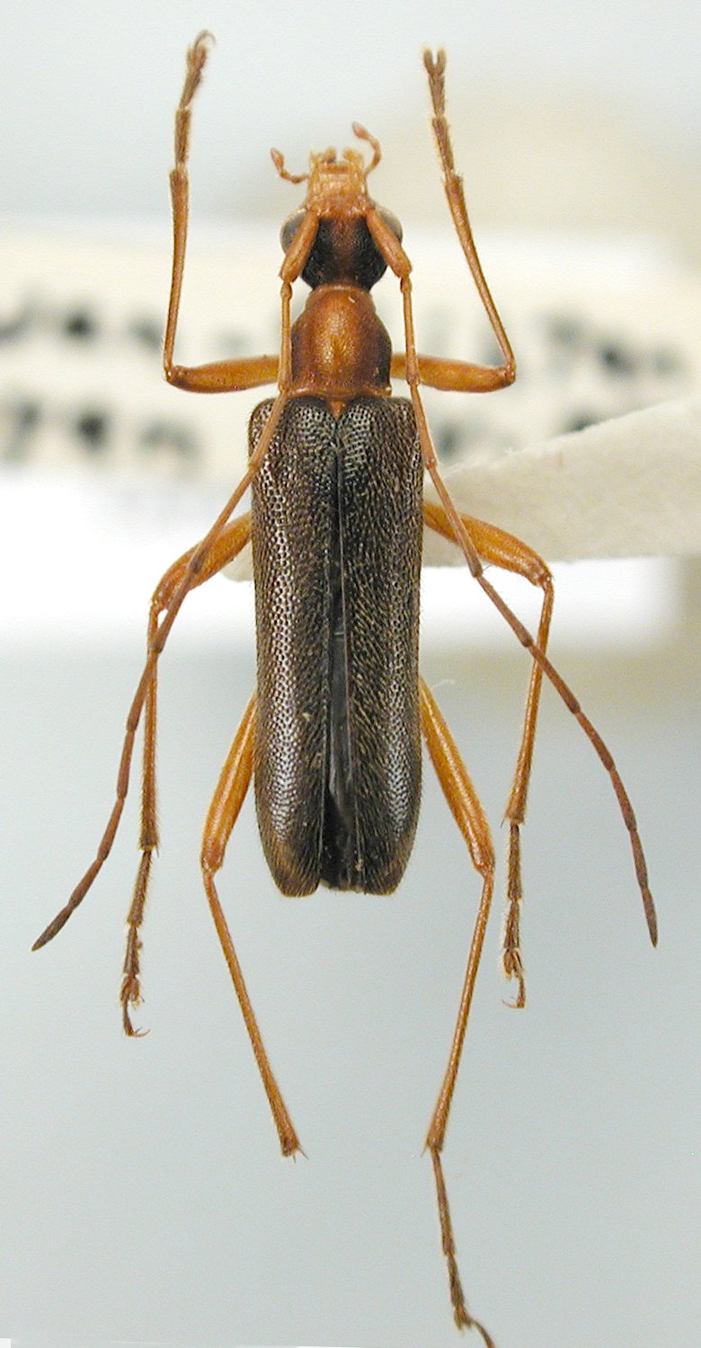
SubFamily Lepturinae

Tribe Pidoniini
Pidonia submetallica Hayashi 1974

Institution: JCPC Jim Cope Collection, San Jose, California, USA now at CSCA, Sacramento
Photographer: Larry G. Bezark
Determiner: Jim Cope
Collection Location: Chihwen, Taoyuan, Taiwan
99514

130425