New Search Family, Subfamily and Tribe List

SubFamily Lepturinae

Tribe Pidoniini
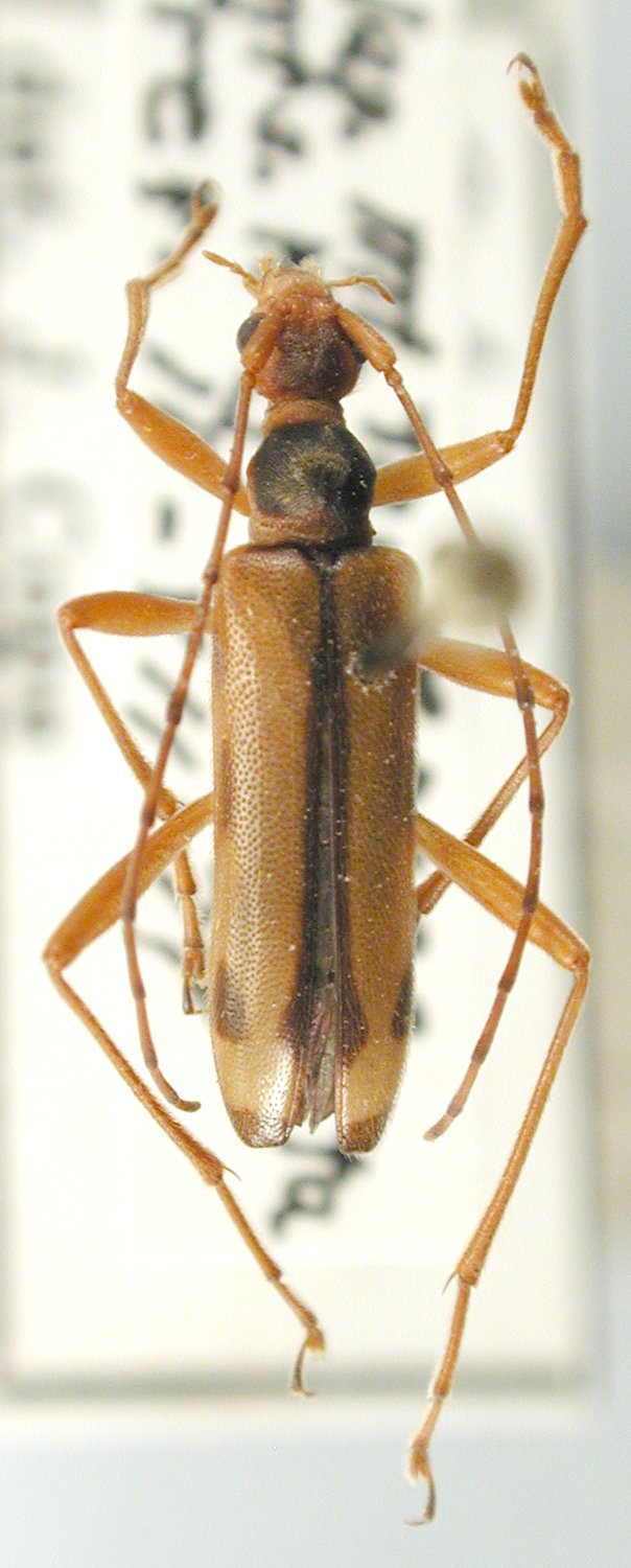
Pidonia kyushuensis Yamawaki 1959

Determiner: Coleoptera of Japan
56962


Institution: JCPC Jim Cope Collection, San Jose, California, USA now at CSCA, Sacramento
Photographer: Larry G. Bezark
Determiner: Jim Cope
Collection Location: Mt Taisenzan, Oita Prefecture, Japan
99504

130425