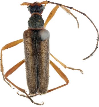
_Gressitt_IZAS_pic.jpg)
Pseudopidonia infuscata Gressitt Specimen Type: holotype Institution: IZAS Zoological Institute, Chinese Academy of Sciences, Beijing, China Photographer: Meiying Lin Collection Location: T'ien-mu Shan, Zhejiang, China 43022
|
 20 km NW Lin’an,Tienmushan, Zhejiang, China det Tichy JCPC LGB.jpg)
Institution: JCPC Jim Cope Collection, San Jose, California, USA now at CSCA, Sacramento Photographer: Larry G. Bezark Determiner: Tomas Tichy Collection Location: 20 km NW Lin’an,Tienmushan, Zhejiang, China 99503
|