_Holzschuh_Coll.jpg)
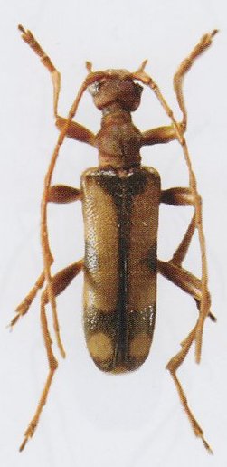
Specimen Type: holotype Sex: m Institution: Holzschuh Collection Photographer: Lubo Dembický Collection Location: Qinling Mountains, s slope, Shaanxi Province, China 73416
|
_Holzschuh_FBVA_107.jpg)
Specimen Type: holotype Sex: m Institution: Holzschuh Collection Determiner: Schrift. Forstlichen Bundesversuchsanstalt Collection Location: Qinling Mountains, s slope, Shaanxi Province, China 56945
|