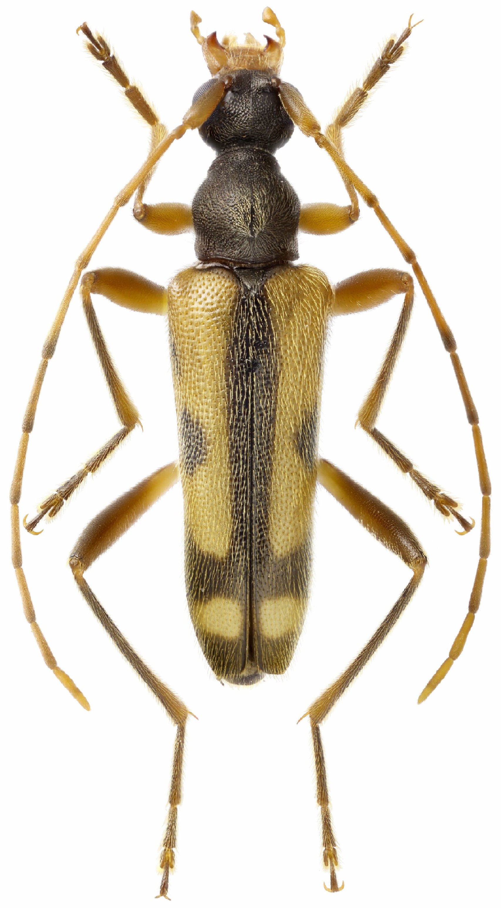
 Pic Listvennichnaya river, Borisovskoye plateau, Primorsky krai, Russian Far East Makarov.jpg)
Sex: m Photographer: Kirill V. Makarov Collection Location: Listvennichnaya river, Primorsky krai, Russian Far East 79872
|

Institution: LGBC Larry G. Bezark Collection, Sacramento, California, USA Photographer: Larry G. Bezark Determiner: Gerard Chemin, Cerambycoidea Forum Collection Location: Chungnam, Keumsan, South Korea 50435
|

Institution: LGBC Larry G. Bezark Collection, Sacramento, California, USA Photographer: Larry G. Bezark Determiner: Gerard Chemin, Cerambycoidea Forum Collection Location: Chungnam, Keumsan, South Korea 50436
|

Institution: LGBC Larry G. Bezark Collection, Sacramento, California, USA 56933
|

Photographer: Denis Kasatkin Collection Location: Staraya, Kamenka, Primorsky Territory, Russia 56934
|
|