New Search Family, Subfamily and Tribe List

SubFamily Lepturinae

Tribe Pidoniini
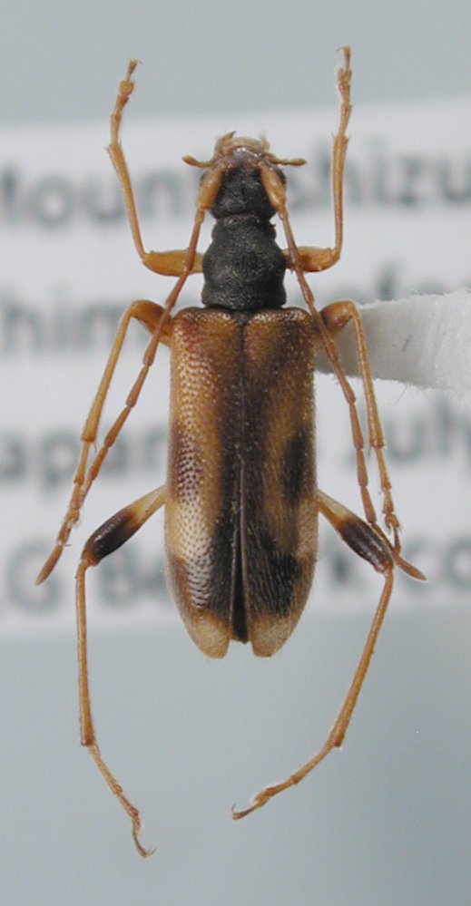
Pidonia chujoi Ohbayashi & Hayashi 1960

Institution: LGBC Larry G. Bezark Collection, Sacramento, California, USA
Photographer: Larry G. Bezark
Collection Location: Mount Ishizuchi, Ehime Prefecture, Japan
76471

130425