New Search Family, Subfamily and Tribe List

SubFamily Lepturinae

Tribe Pidoniini
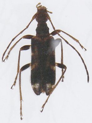
Pidonia changi Hayashi 1971

Sex: m
Photographer: Meiying Lin
Collection Location: Qinling Mountains, China
73415

130425