New Search Family, Subfamily and Tribe List

SubFamily Lepturinae

Tribe Pidoniini
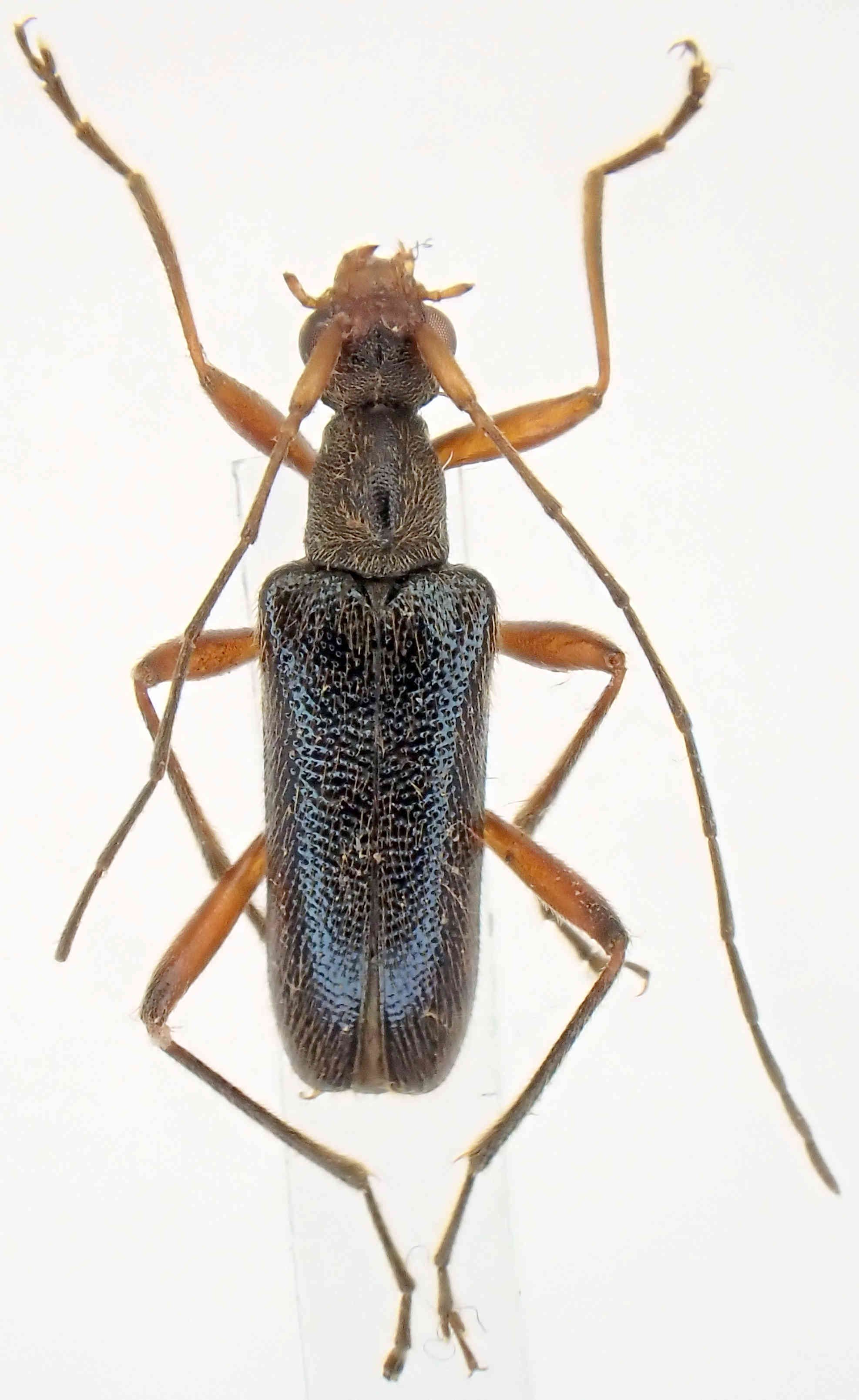
Pidonia aenipennis aenipennis (Gressitt, 1935)

Photographer: Gerard Chemin, Cerambycoidea Forum
Collection Location: Taiwan
100792

130425