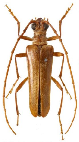
_Holzschuh_Coll_Madyan_NW_Pakistan_LD_pic.jpg)
Specimen Type: holotype Sex: m Institution: Holszchuh Collection Photographer: Lubo Dembický Collection Location: Madyan, NW Pakistan 70770
|
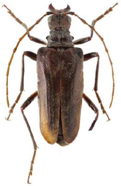
_Holzschuh_ZIN_Upper_Waygal_River_Nurestan_Province_Afghanistan.jpg)
Sex: m Institution: ZIN Russian Academy of Sciences, Zoological Institute, St. Petersburg, Russia Photographer: Miroshnikov Collection Location: Upper Waygal River, Nurestan Province, Afghanistan 55398
|