_Gressitt_IZAS.jpg)
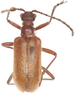
Specimen Type: holotype Sex: m Institution: IZAS Zoological Institute, Chinese Academy of Sciences, Beijing, China Photographer: Meiying Lin Collection Location: T'ien-mu Shan, Zhejiang, China 42864
|

Institution: CAS California Academy of Sciences, San Francisco, CA, USA Photographer: Larry G. Bezark 49405
|